About 7401 Tin Top Highway, Weatherford, Texas, 76087
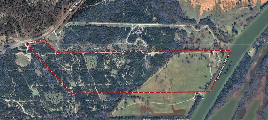
Tin Top River Ranch - Just 45 minutes from Downtown Fort Worth, discover a farm, a horse ranch, a hunters paradise, and a deep water lake house all rolled into one with incredible 20 miles views! Nestled along the scenic Brazos River in northern Hood County, this property is a true sanctuary for nature lovers, outdoor enthusiasts, and those seeking tranquility. Imagine having your boats, horses, and hunting grounds all in one place. Here, you can immerse yourself in a world where every day holds adventure. With 140 feet of elevation changes, you’ll enjoy breathtaking views and the chance to explore miles of rugged terrain. Get lost in the woods, hunt trophy deer, or cultivate your land with hay for your horses or sunflowers for dove hunting. Picture yourself fishing in your private ponds or navigating 35 miles of the Brazos and Lake Granbury right from your backyard. You’ll have the rare opportunity to enjoy lakefront living while also embracing all the opportunities of a ranch. As the sun sets, gather with family and friends on the back porch or the covered pavilion, where memories are made against a backdrop of stunning river views. Whether you're hunting deer, dove, duck, turkey, or simply observing the wildlife, this property is a haven for those who appreciate the beauty of nature and the joy of outdoor living. You won’t ever have to worry about neighbors across the river ruining your views or your day, making this a private retreat that feels worlds away, yet remains conveniently close to urban amenities. This extraordinary ranch combines the best of both worlds—a lake house and a ranch—making it the ultimate retreat for family, friends, and generations to come. Experience the joy of outdoor living, the thrill of adventure, and the peace of mind that comes with owning a piece of Texas paradise.
Horse Permitted : YES
Utilities : Asphalt, Co-op Electric, Outside City Limits, Septic, Well
Easements : Utilities
Parking Features: Electric Gate, Other
4 Covered Spaces
Security Features : Burglar, Security System
Fencing : Barbed Wire, Fenced, Full, Gate, High Fence
Exterior Features: Boat Slip, Covered Patio/Porch, Dock, Fire Pit, Outdoor Living Center, RV/Boat Parking, Other
Patio And Porch Features : Covered, Patio, Rear Porch, Roof Top Deck/Patio, Other
Lot Features : Acreage, Agricultural, Brush, Cleared, Many Trees, Cedar, Mesquite, Oak, Pasture, Rolling Slope, Tank/ Pond, Water/Lake View, Waterfront
Lot Features : Metal
Waterfront Property
Waterfront Features : Dock – Covered, Dock – Uncovered, Lake Front, Lake Front – Main Body, Personal Watercraft Lift, Retaining Wall – Other, River Front
Structural Style : Farm/Ranch House, Lake House
Current Use : Agricultural, Hunting/Fishing, Ranch, Recreational, Residential
Possible Use : Agricultural, Cattle, Equine, Grazing, Horses, Hunting/Fishing, Investment, Pasture, Ranch, Recreational, Residential
Cooling: Central Air, Electric
Heating : Central, Electric
Foundation Details: Slab
Interior Features: Open Floorplan
Fireplaces Number : 1
Fireplace Features: Wood Burning
Appliances : Dishwasher, Electric Range
Flooring : Concrete, Engineered Wood
LaundryFeatures : Electric Dryer Hookup, Utility Room, Full Size W/D Area, Washer Hookup
Levels : Two
Green Verification Count : 0
Other Structures : Barn(s), Bunk House, Hunters Cabin, Residence, See Remarks, Workshop w/Electric
Horse Permitted : YES
Utilities : Asphalt, Co-op Electric, Outside City Limits, Septic, Well
Easements : Utilities
Parking Features: Electric Gate, Other
4 Covered Spaces
Security Features : Burglar, Security System
Fencing : Barbed Wire, Fenced, Full, Gate, High Fence
Exterior Features: Boat Slip, Covered Patio/Porch, Dock, Fire Pit, Outdoor Living Center, RV/Boat Parking, Other
Patio And Porch Features : Covered, Patio, Rear Porch, Roof Top Deck/Patio, Other
Lot Features : Acreage, Agricultural, Brush, Cleared, Many Trees, Cedar, Mesquite, Oak, Pasture, Rolling Slope, Tank/ Pond, Water/Lake View, Waterfront
Lot Features : Metal
Waterfront Property
Waterfront Features : Dock – Covered, Dock – Uncovered, Lake Front, Lake Front – Main Body, Personal Watercraft Lift, Retaining Wall – Other, River Front
Structural Style : Farm/Ranch House, Lake House
Current Use : Agricultural, Hunting/Fishing, Ranch, Recreational, Residential
Possible Use : Agricultural, Cattle, Equine, Grazing, Horses, Hunting/Fishing, Investment, Pasture, Ranch, Recreational, Residential
Cooling: Central Air, Electric
Heating : Central, Electric
Foundation Details: Slab
Interior Features: Open Floorplan
Fireplaces Number : 1
Fireplace Features: Wood Burning
Appliances : Dishwasher, Electric Range
Flooring : Concrete, Engineered Wood
LaundryFeatures : Electric Dryer Hookup, Utility Room, Full Size W/D Area, Washer Hookup
Levels : Two
Green Verification Count : 0
Other Structures : Barn(s), Bunk House, Hunters Cabin, Residence, See Remarks, Workshop w/Electric

Street Address: 7401 Tin Top Highway
City: Weatherford
State: Texas
Postal Code: 76087
County: Hood
Directions: From I-20 in Weatherford, south on FM 51, left on FM 1708, left on Tin Top Road, then approx. 8.25 miles to the gate. Property on left.

Property Information :
Listing Status: Active
Size: 1,624 Sqft
Lot Size: 127.15 Acres
MLS #: 21055702
Bedrooms: 2 bd
Bathrooms: 2 ba
Price: $5,076,000
Construction Status: Built in 2012
Last Modified : Dec 12 2025 1:15AM

Courtesy of: Allen Crumley, Williams Trew Real Estate (MLS# WTRS00FW)
Source MLS: NTREIS